Ref.: T-6

Donde el Golf se Funde con el Mar: Parcela Exclusiva en La Reserva de Sotogrande.-

Venta1.000.000 €
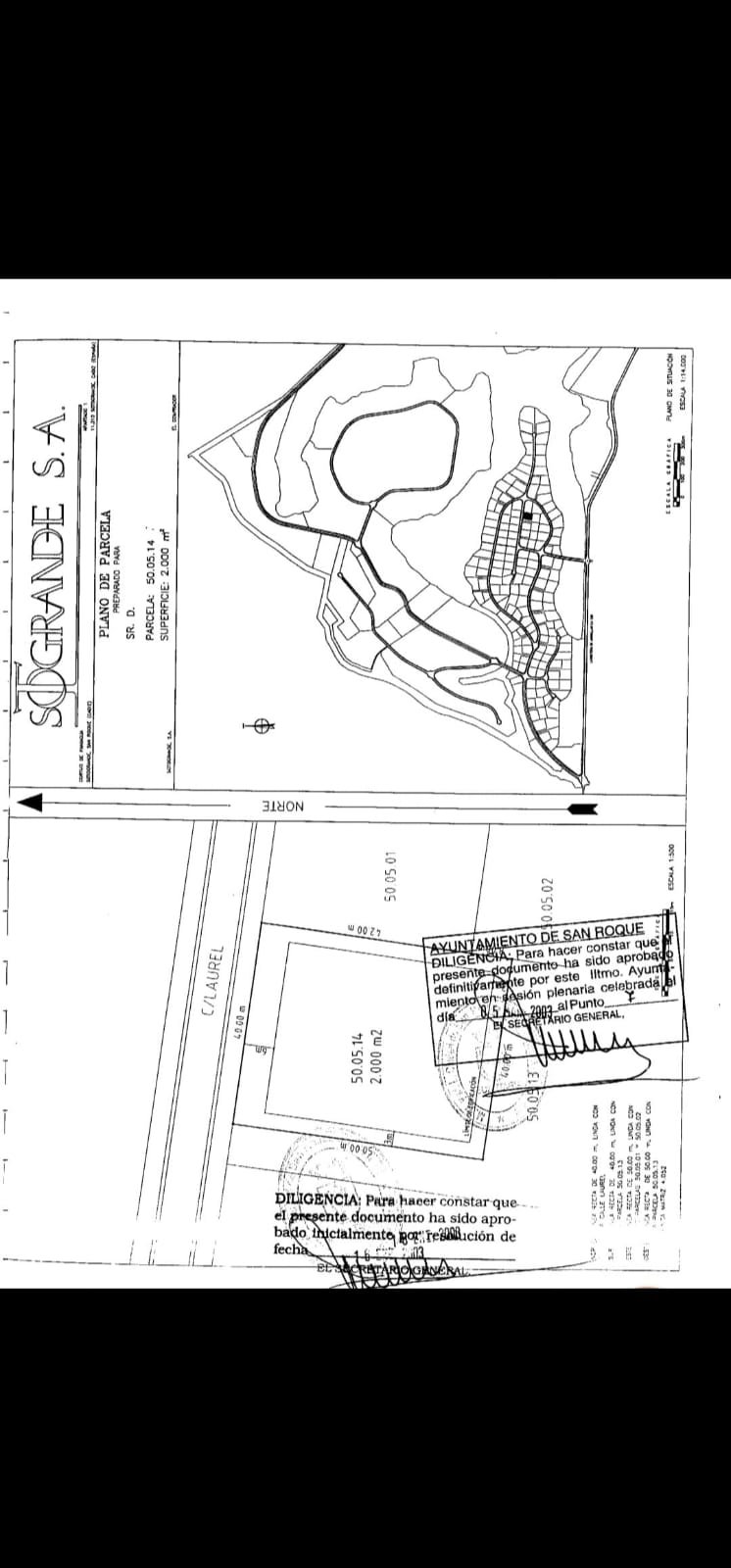
2000 m²

Descripción

Descubra el privilegio de crear una residencia verdaderamente excepcional en La Reserva de Sotogrande, el enclave más selecto y contemporáneo.

Esta magnífica parcela con orientación sur se sitúa en una tranquila calle sin salida dentro de una de las urbanizaciones cerradas más prestigiosas y seguras del sur de España. Su suave pendiente natural no solo realza la arquitectura de la futura vivienda, sino que garantiza privacidad, luminosidad durante todo el año y vistas panorámicas despejadas al campo de golf y al mar en el horizonte.

El entorno combina elegancia, serenidad y seguridad 24 horas, ofreciendo un estilo de vida reservado para quienes valoran la discreción y la excelencia. Aquí, cada amanecer se abre sobre el verde impecable del golf y cada atardecer se funde con el azul del Mediterráneo.

La parcela dispone de todos los suministros en el lindero (electricidad, agua, alcantarillado y telecomunicaciones), lo que facilita el desarrollo inmediato del proyecto. Además, se incluye un proyecto de ejecución aprobado y licencia de obra para una villa contemporánea, permitiéndole comenzar la construcción sin demoras y con total garantía.

Para quienes desean una visión completamente personalizada, existe también la posibilidad de adquirirla sin proyecto, ofreciendo absoluta libertad para diseñar una residencia única, adaptada a su estilo de vida.

Ya sea como hogar familiar de alto nivel o como inversión estratégica en una de las zonas más consolidadas y demandadas, esta propiedad representa una oportunidad excepcional.

Un escenario incomparable para una villa extraordinaria.

IVA no incluido.

Más datos

  • Eficiencia energética: En trámite

Situación

SAN ROQUE

Solicitar información

Leer política de privacidad


Solicitud enviada correctamente

Please wait...